レジデンス・エイ
物件番号/1107619800
- 賃 料
- 40,000円
- 共益費
- -
- 間取り
- 2K
- 専有面積
- 52.07㎡
- 築年月
- 平成6年12月 (築31年)
- 敷 金
- 0ヶ月
- 礼 金
- 0円
- 保証金
- -
- 解約引
- -
- 交 通
- 万葉線株式会社万葉線 荻布駅 徒歩5分
万葉線株式会社万葉線 旭ヶ丘駅 徒歩6分 - 所在地
- 高岡市荻布新町
おすすめポイント
家賃の1ヶ月分返金中(フリーレント)!融雪付駐車場!
関連リンク
設備・周辺情報など
- 路線/駅
- 万葉線株式会社万葉線 荻布駅 徒歩5分
万葉線株式会社万葉線 旭ヶ丘駅 徒歩6分 - 所在地
- 高岡市荻布新町
- 内 訳
- K4帖、洋室12帖、和室6帖
- 種 別
- アパート
- 階数/階建
- 1階/2階建
- 向 き
- 南
- 構 造
- 木造
- 現 況
- 空室
- 入 居
- 即時
- 契約期間
- 2年
- 取引態様
- 専任媒介
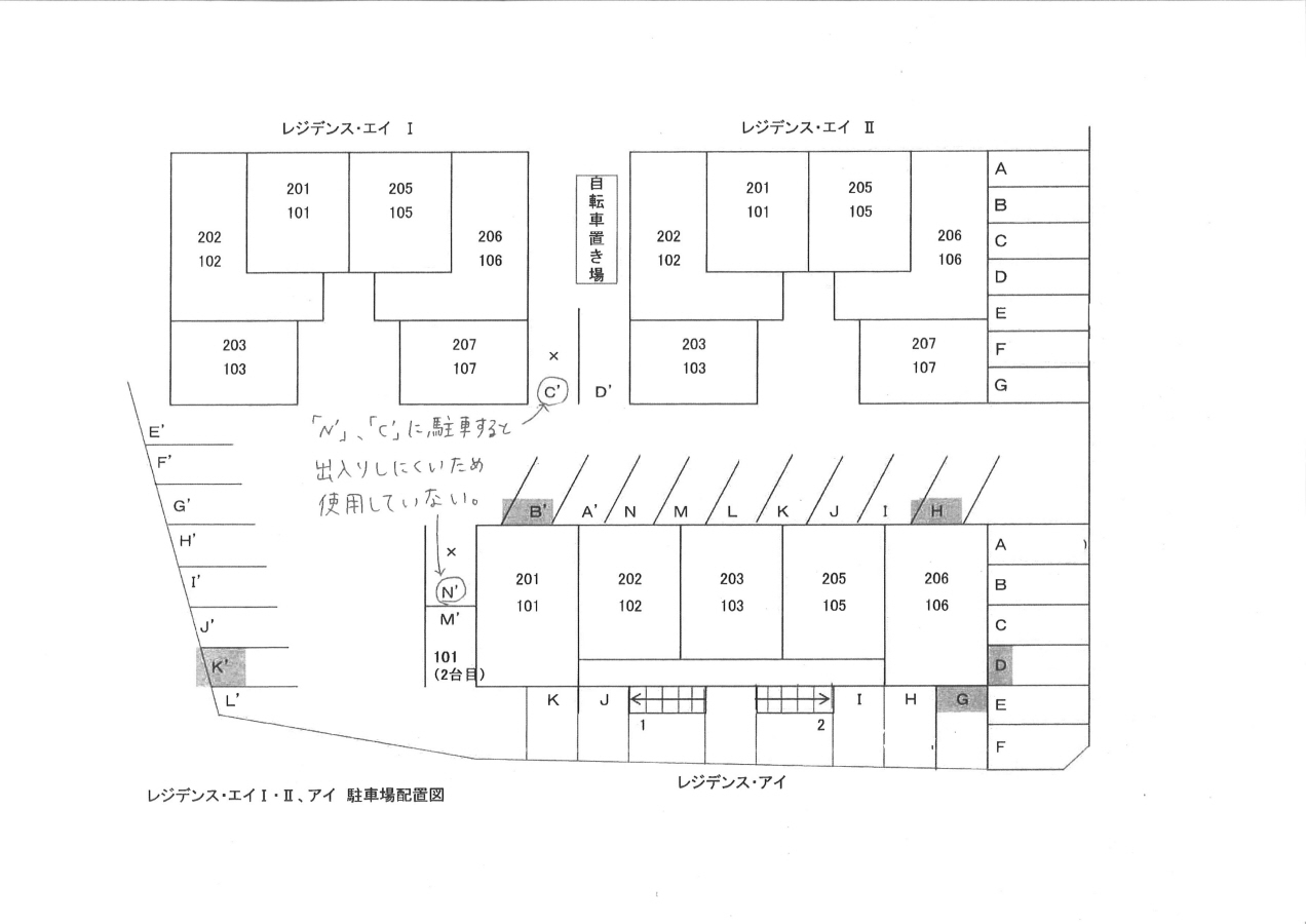
- 駐車場
- 空有 5,000円/月
- 設備/条件
- 上水道
- 下水道
- プロパンガス
- 電話
- 冷房
- 暖房
- 給湯
- フローリング
- BSアンテナ
- ガスキッチン
- シャワー
- エアコン
- 室内洗濯置場
- バス・トイレ別室
- 洗面所独立
- 駐輪場
- 日当たり良好
- 閑静な住宅街
- 保証人不要
- 保 険
- 加入要 1,980円/2年
- 保証会社
- 利用必須 初回保証料:月額費用60%,月額保証料:600円,更新保証料10,000円/年
- 金銭備考
- 更新料: 8,800円
- 鍵交換代: 15,400円
- 町会費: 500円
- ●退去時清掃費49,500円●アパマート24:1,980円/月(税込)●鍵交換必須(実費)●2台目駐車場:3,000円/月(要確認)
- 周辺施設
- 能町小学校/1550m (徒歩20分)
- 志貴野中学校/1731m (徒歩22分)
- 大学など
- -
表示の情報と現況に差異がある場合は現況優先となります。
お問い合わせ·内覧予約は
同じ建物の他の空室
- 階
- 家賃/
共益費 - 敷金/
礼金 - 間取り/
専有面積

- 2階
- 4.0万円
- - -
- - 2K
52.07m²





















